Eladó telek/földterület Tata 49 990 000 Ft

Leírás

ÚJ PARCELÁZÁSÚ LAKÓPARKBAN ÉPÍTÉSI TELEK A TÓPART KÖZELÉBEN!!!
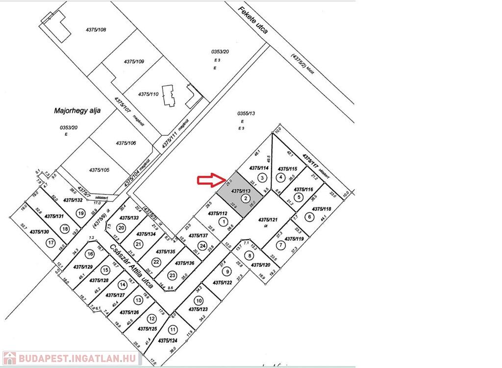
Megvételre kínálunk Tata belterületén több, mint 2 Hektárnyi belterületen - a Tatai tópart ,és a Remeteségi erdő közvetlen közelében fekvő 859nm-es belterületi építési telket, mely egy zárt 24 telekből álló lakópark területén fekszik.
A teljesen új parcellázású részen (Fácánoskert szomszédságában) található építési telek, több olyan tulajdonsággal is rendelkeznek, amik az itt épülendő ház értékét, fényét emeli, és boldog mindennapokat biztosít majd az itt élőknek.
A telek öszközművesített (víz,villany,csatorna). A lakóparkot átszelő térkövezett út pedig a már elkészült.
Szabályozási terv szerint belterületi LKE-Tó1 besorolású.
- Beépítési mód: szabadonálló
- Maximális beépíthetőség:20%
- Építménymagasság: 6,0 méterig
- Minimális zöldfelület: 60%
- tető 25-től 45°-os hajlásszöggel létesíthető,
- az előkert 5 m. Az oldalkert 3 m, a hátsókert 6 m, de legalább a szabályozási terven
jelölt beültetési kötelezettség szélessége.
-erdővel határos telekvégen kerítés építés kötelező.

Elhelyezkedés:
Tata óvárosi központja autóval 5 perc, gyalogosan a tóparton sétálva kb. 10 perc alatt elérhető.
(Buszjárat is közlekedik már a Fekete úton)
Budapesttől 60 km-re,az M1-es autópályától pedig 1 percre található.
Amennyiben az Ön terveiben is egy új lakópark vagy lakónegyed szerepel, úgy most ezen a területen építheti fel álmai házát.
-Teljes körű, INGYENES bank független tanácsadás és ügyintézés az ÉPÍTÉSI HITELRE IS !!
-Szerződés előkészítése
-CSOK ügyintézés:
ÚJÉPÍTÉSŰ CSOK+ ÁLLAMILAG TÁMOGATOTT HITEL
-BABAVÁRÓ HITEL
egy helyen az Ön kényelme érdekében…
Ha Ön se szeretne lemaradni erről a kitűnő ajánlatról, akkor hívjon már most a részletekért!
További részletekért forduljon hozzánk bizalommal!
Szabó Szilvia
[email protected]
06 70 367 76 36

Telek/földterület részletei

Ár: 49 990 000 Ft
Méret: 859 Négyzetméter
Azonosító: 11471408
Irodai azonosító: 8864
Cím: Tata
Telek: 859 Négyzetméter
Besorolás: Építési telek
Jelleg: belterület

Így keressen budapesti ingatlant négy egyszerű lépésben. Csupán 2 perc, kötelezettségek nélkül!

Szűkítse a budapesti ingatlanok
listáját
Válassza ki a megfelelő
budapesti ingatlant
Írjon a hirdetőnek
Várjon a visszahívásra