Eladó telek/földterület Pilismarót 39 000 000 Ft

Leírás

Pilismarót, Basaharc településen, 9329 m2, belterületi telek eladó. Közvetlenül a Máltai szeretetszolgálat, idősek otthona melletti részen.

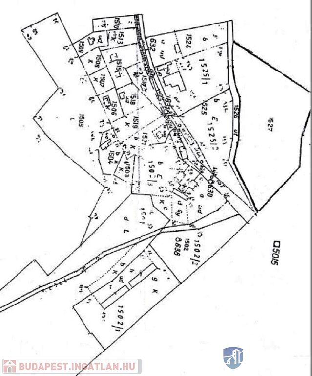
A mellékelt térképen 1527-es számmal jelölt terület.

Az ingatlan többféle hasznosításra is megfelelő lehet. Belterületi jellege miatt állattartásra és növénytermesztésre valamint ezek feldolgozására irányuló építkezés nem megengedett.

Tulajdoni lap szerinti besorolása: kivett telephely

Szabadon álló beépítési mód, 30% beépíthetőség, 7,5 méter építménymagasság megengedett.

A telek előtt közvetlenül, mindkét irányban buszmegálló található.

Lakóingatlan a vételárba beszámítható.

Ingatlannal kapcsolatos kérdésekben bármikor, hangsúlyozom, bármikor hívhat.


Pilismarót, in the municipality of Basaharc, 9329 m2 of land for sale. Directly next to the Maltese charity, home for the elderly.

Plot marked 1527 on the attached map.

The property could be suitable for several uses. Due to its internal nature, construction for livestock and crop production and processing is not allowed.

Classification according to the title deeds: abandoned industrial site

Free-standing, 30% built-up area, 7.5 m high.

There is a bus stop directly in front of the plot in both directions.

Residential property can be included in the purchase price.

For any questions regarding the property, please call me at any time, I stress, at any time.
(További kínálatunkat keresse a VING hivatalos weboldalán.)

Telek/földterület részletei

Ár: 39 000 000 Ft
Méret: 9 329 Négyzetméter
Azonosító: 11393170
Irodai azonosító: 690428
Telek: 9329 Négyzetméter
Besorolás: Építési telek
Jelleg: belterület

Így keressen budapesti ingatlant négy egyszerű lépésben. Csupán 2 perc, kötelezettségek nélkül!

Szűkítse a budapesti ingatlanok
listáját
Válassza ki a megfelelő
budapesti ingatlant
Írjon a hirdetőnek
Várjon a visszahívásra