Eladó telek/földterület Kővágóörs 59 900 000 Ft

Leírás

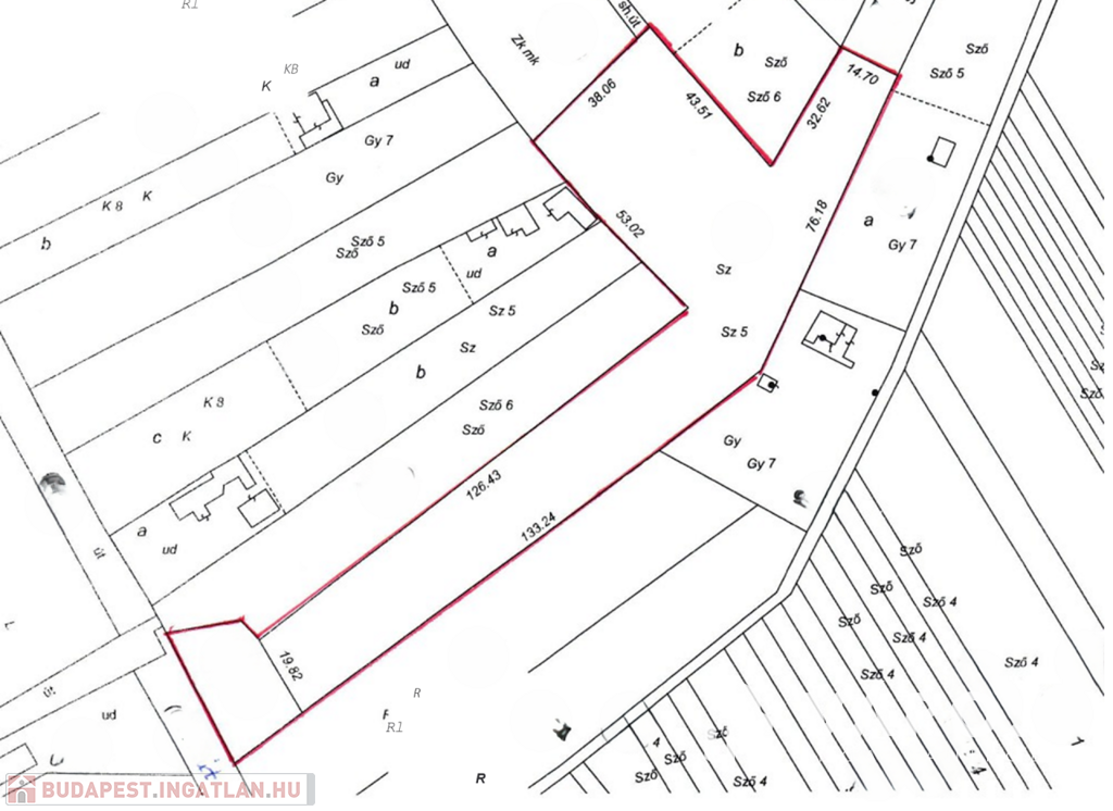
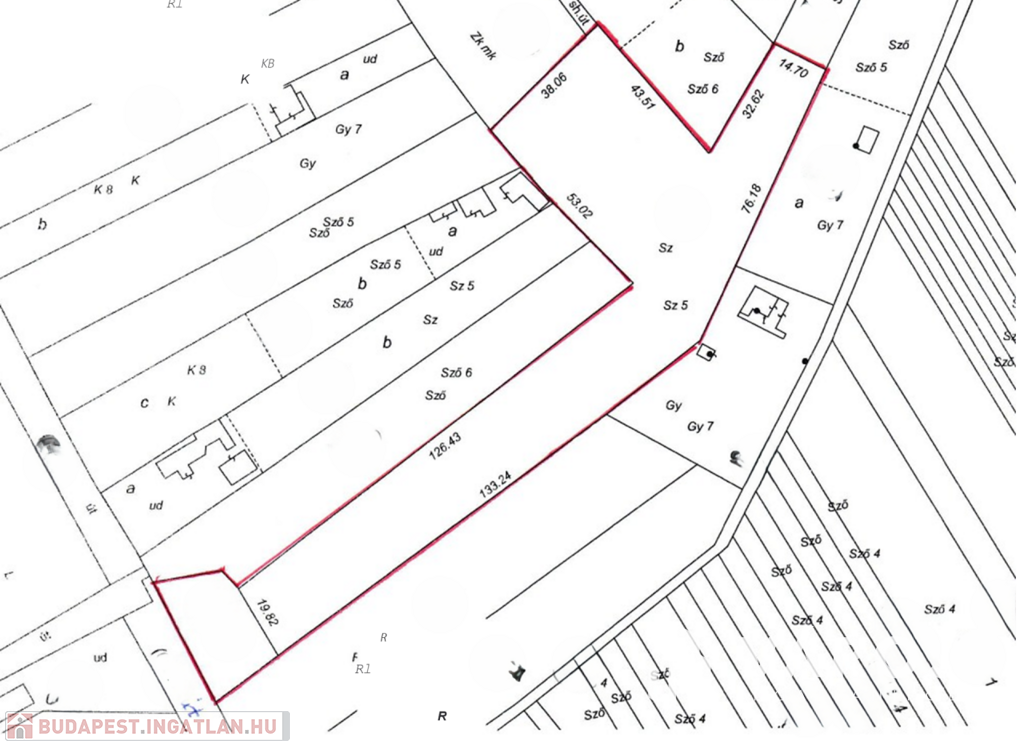
Kővágóörs és Révfülöp határán eladó egy 6377 m2-es zártkerti telek ingatlan, amely akár 2 különálló épület megépítésére is alkalmas. Természetesen a méretéből adódóan két részre is megosztható.
A telken a 2 építésre alkalmas terület elektromos energiával történő ellátása megtörtént. Mind a két helyen rendelkezésre áll a szükséges elektromos teljesítmény az előírt elektromos szekrényekben.
A telek felső részén építkezésre szabadon hagyott területről a Balatoni panoráma is rendelkezésre áll egy leendő új tulajdonosnak.
A zártkertben, a jogszabályi előírásoknak megfelelő arányban hároméves, új telepítésű olasz rizling szőlő ültetvény is található egy teljesen új tám rendszerrel. A teljes szőlőültetvény úgy van kiépítve, hogy egy automata öntözőrendszer biztosítja a szőlőtőkék szükséges locsolását.
Az ültetvény folyamatos művelésére, kezelésére, a szüreti feladatok elvégzésére jelenleg élő szerződés van egy vállalkozóval, amely egy új tulajdonos esetén is tovább vihető.
A locsolórendszer kiépítésével egyidejűleg a tervezett építési területekhez megtörtént a vízhálózat kiépítésének előkészítése. Az ingatlan előtt vezetékes ivóvízhálózat is elérhető, emellett a telken belül vízvételi lehetőség is biztosított.
A zártkerti ingatlan teljesen körbekerített, 2 bejárattal rendelkezik. Megközelíteni a szilárd burkolatú úttól kb 400 m-es, részben zúzott kővel borított úton lehet, amely minden időszakban járható.
Az ingatlan körül több házban folyamatosan, életvitelszerűen laknak.
Ha valaki tovább szeretné bővíteni a telket akkor mód van közvetlenül a zártkerti ingatlan mellett további területek vásárlására.
(További képekért és információkért kérem hívjon!)

Telek/földterület részletei

Ár: 59 900 000 Ft
Méret: 6 377 Négyzetméter
Azonosító: 11483445
Irodai azonosító: 395310
Telek: 6377 Négyzetméter
Besorolás: Építési telek
Jelleg: belterület
Villany: Telken belül
Víz: Telken belül

Így keressen budapesti ingatlant négy egyszerű lépésben. Csupán 2 perc, kötelezettségek nélkül!

Szűkítse a budapesti ingatlanok
listáját
Válassza ki a megfelelő
budapesti ingatlant
Írjon a hirdetőnek
Várjon a visszahívásra