Eladó telek/földterület Gárdony 6 101 280 000 Ft

Leírás

A Velencei-tó déli partján kínálunk eladásra egy 23 hektáros vízparti fejlesztési területet.
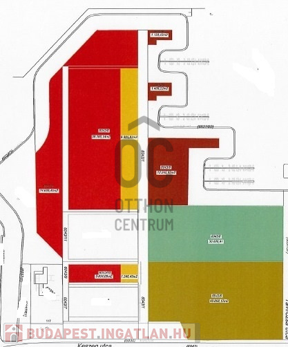
Összes telekterület: 153.983 m2
Összes beépíthető terület földszinten: 54.519 m2
Összes beépíthető terület föld felett:189.084 m2
A telekcsoport 4 különböző övezeti besorolás alá esik, az alábbiak szerint:
57.313 m2: Vt 4-2.7.5.5, szabadon álló, maximális beépíthetőség 40%, minimum zöldfelület 30%, maximális építménymagasság 7 méter.
11.152 m2: Vt 4-2.7.5.7, szabadon álló, maximális beépíthetőség 40%, minimum zöldfelület 30%, maximális építménymagasság 9,5 méter.
14.793 m2, Vt 4-2.7.5.4.,szabadon álló, maximális beépíthetőség 40%, minimum zöldfelület 30%, maximális építménymagasság 6 méter.
70.725 m2, Vt 4-2.7.4.11, szabadon álló, maximális beépíthetőség 30%, minimum zöldfelület 55%, maximális építménymagasság 14 méter.
Az eladó terület egy komplex városfejlesztési projekt megvalósítására alkalmas, egy részén célszerű lenne nagy szobaszámú wellness hotel fejlesztése.
A terület közepén végigfutó gerincút már ki van szabályozva, a területen saját kikötő létesítése is lehetséges.
Az eladási ár nettó ár további áfa terheli.

Telek/földterület részletei

Ár: 6 101 280 000 Ft
Méret: 153 983 Négyzetméter
Azonosító: 11586369
Irodai azonosító: T031682-5105209
Telek: 153983 Négyzetméter
Besorolás: Építési telek
Csatorna: Nincs
Gáz: Nincs
Jelleg: belterület
Villany: Nincs
Víz: Nincs

Térkép


Így keressen budapesti ingatlant négy egyszerű lépésben. Csupán 2 perc, kötelezettségek nélkül!

Szűkítse a budapesti ingatlanok
listáját
Válassza ki a megfelelő
budapesti ingatlant
Írjon a hirdetőnek
Várjon a visszahívásra